2024-08-01
金相显微组织是在金相显微镜下能够看到的合金内部组成物的直观形貌,它描述了各组成物的本质、形态、大小、数量和分布特征。这些组成物由不同的相所组成。合金的显微组织可以是一种相组成的单相组织,也可以是几种相组成的复合组织。
相:是具有同一聚集状态、同一结构、同一性质、并与其他部分在界面分开的均匀组成部分。
相图:是研究不同成分合金相平衡关系的一种图形。
组织:用肉眼或显微镜所观察到的不同组成相的形状,分布及各相之间的组合状态。
平衡组织:合金经缓慢冷却后具有的显微组织。
非平衡组织:合金经快冷后具有的显微组织。
二元合金:由两种组元组成的合金称为二元合金。
固溶体:以合金某一组元为溶剂,其晶体点阵中溶入其它组元原子(溶质)所组成的异类原子混合的结晶相,结构保持溶剂元素的点阵类型,其实质是固态溶液。
匀晶转变:由液相直接结晶出单相固溶体的过程。
共晶转变:具有E点成分的液相,在一定的温度下,同时结晶出一定成分的两个固相,即M点成分的α相与N点成分的β相。
包晶转变:由一个固相与液相作用形成另一个固相的过程,称为包晶转变。
晶内偏析(枝晶偏析):在一个晶粒内部成分不均匀的现象,称晶内偏析。
离异共晶:当不平衡共晶体量很少时,其中与初生晶体相同的相,常与初生晶体连成一片,不能分辩,而共晶体的另一相则留在枝晶间,这种形式的共晶组织称离异共晶。
伪共晶:亚共晶和过共晶合金在快冷时,初生晶体数量减少,共晶体的实际成分偏离原共晶点,形成伪共晶,成分靠近共晶点的合金,快冷时,甚至来不及析出初生晶体即发生共晶反应,得全部共晶体。这种由非共晶成分的合金而获得全部共晶体的组织,称为伪共晶组织。
脱溶:由α固溶体中析出另一种固相的过程,称脱溶,一般脱溶相称为次生相或次生固溶体,以βⅡ表示。
.png)
图3-1 Ni-Cu相图
观察二元合金显微组织,应根据该合金系的相图,分析合金在平衡及非平衡冷却条件下可能出现的相及组织组成物。典型二元合金的显微组织可分为以下几类:
一、 固溶体合金的显微组织
具有匀晶转变的合金,如图3—1所示,在平衡冷却条件下,其室温组织均为单相固溶体。其显微组织形态表现为一个个的晶粒及晶界。但在非平衡冷却时,固相成分来不及扩散均匀,在凝固过程中各温度的固相平均成分将偏离原平衡相图上固相线的位置,如图3一2所示。
.png)
图3-2 固溶体合金不平衡凝固时固相成分的变化
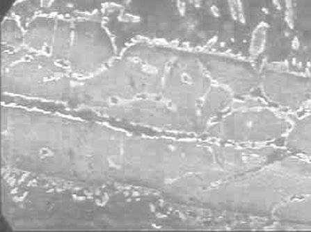
在合金完全凝固后,先结晶出的枝干(包括一次轴和二次轴)含高熔点的组元多,后结晶的枝间含低熔点组元多。由于二者抗蚀性不同,浸蚀后呈现出树枝状组织特征,在显微镜下可观察到明暗的差异。图3-3为Cu—Sn合金相图。含5%Sn的铜锡合金显微组织中富集高熔点组元铜的枝干部分呈亮白色,而富集低熔点组元锡的枝晶间隙则呈暗黑色,即出现晶内偏析,如图3—4a所示。通过对不平衡结晶的合金进行扩散退火(均匀化)处理,即将合金加热到低于固相线温度,保温一定时间,缓冷,从而可消除或减轻偏析,得到接近平衡结晶的组织。图3-4b为Cu—Sn5%合金的树枝晶消除后的固溶液体晶粒。
图3-3 Cu-Sn相图
二、 二元共晶系合金显微组织
具有共晶反应的二元合金系有:Pb-Sb、Pb-Sn、Al-Si,Al-Cu、Cu-O、Zn-Mg等。
.png)
硝酸铁盐酸水溶液 200´ 硝酸铁盐酸水溶液 150´
图3-4a Cu—Sn5%合金 图3-4b Cu—Sn5%合金
状态:铸态 状态:扩散退火
根据合金在相图中的位置,可分为端部固溶体、共晶、亚共晶和过共晶合金来研究其显微组织特征。
.png)
图3-5 Pb—Sn相图 图3-6 Pb—Sb相图
一)端部固溶体合金
端部固溶体合金位于相图两端,如Pb-Sn相图中含锡的质量分数小于19%的合金,如图3一5所示; Pb一Sb相图中含锑的质量分数小于3.5%的合金,见图3一6所示。这类合金慢冷凝固终了得到单相固溶体(α),继续冷却到固溶度曲线以下,将析出二次相(βⅡ),β是以锡为基体的固溶体。一般合金中的二次相常呈粒状或小条状分布在α固冰醋酸硝酸水溶液´320,溶体的晶界和晶内。
图3一7为含锡10%的Pb一Sn合金的显微组织,其中暗色的基体为铅基固溶体α,亮色颗粒为二次相βⅡ。
.png)
图3-7 Pb—10%Sn合金的显微组织
端部固溶体成分靠近相图中最大饱和溶解度的合金,快冷后会出现少量共晶体。这是由于快冷至共晶温度时还有少量剩余液体,随之结晶而成共晶体。快冷引起共晶系相图的变化如图3—8中Ⅱ线所示。这种共晶体,是伪共晶。伪共晶体有两种形态:当共晶体量稍多时,可具有与平衡态共晶体相同的组织形貌,当伪共晶体量很少时,其中与初生晶体相同的相,常与初生晶体连成一片,不能分辨;而共晶体中的另一相则留在枝晶间,这种形式的共晶组织是离异共晶。如Al一4%Cu合金的平衡组织 ,由于共晶体量极少,故呈离异共晶形态出现,枝晶间只有θ相,如图3—9所示。

图3-8 冷速对共晶相图的影响 图3-9 Al-4%Cu合金的快冷组织 200´
二)共晶合金
位于二元相图中共晶点成分的合金平衡结晶时发生共晶反应,得到共晶体组织。共晶体是由两种一定成分的固相(α、β)组成,两相的本质和成分可由相图上得知。如Pb一Sn合金的共晶体中两个相的本质分别为以铅和锡为基的固溶体α和β,在共晶温度时,α和β相中锡的质量分数分别为19%和97.5%(见图3-5)。而在Pb一Sb合金中,由于铅在锑中的固溶度很小,β相的成分接近纯锑,故其共晶体由α和锑组成。这两个合金系的共晶体组织见图3一10和图3一11所示。
共晶体的形态随其组成相的本质、冷却速度及相对量的不同可表现出层片状、树枝状、针状,棒状(条或纤维状)、球状、螺旋状等多种特征,如图3—12。现就金属材料而言,分别讨论于下:
1.金属—金属型共晶(非光滑—非光滑界面)
金属一金属型共晶组织凝固时,两相的液一固界面均为微观粗糙型,凝固后常形成规则共晶体。属于这类共晶的有:金属与金属的共晶体;金属与部分金属间化合物的共晶体。这类共晶体合金的显微组织大多数呈现出层片状或棒状的特征。
2.金属—非金属型共晶(非光滑—光滑界面)
金属一非金属型共晶组织凝固时,金属相的液一固界面多为微观粗糙型,生长速度较快,而非金属相的液一固界面多为微观光滑型,生长速度较慢,金属相的超前生长迫使后生长的非金属相产生分枝,因而形成各种复杂的形态。属于这类共晶的有:金属与非金属或亚金属以及金属与部分金属间化合物组成的共晶体。这类共晶体合金形成的共晶体的显微组织呈现出树枝状、针状及骨骼状等复杂的形态特征,如Al—Si、Fe—C(G)、Pb—Sb等合金共晶均属于此类。

冰醋酸硝酸水溶液 ´200 冰醋酸双氧水 ´82
图3-10 Pb-Sn 合金的共晶体 图3-11 Pb-Sb 合金的共晶体

a:Al-Si合金中的针状共晶体 b:Cu-O合金中的球状共晶体

c:Mg-Zn合金中的螺旋状共晶体 d:Al-Cu合金中的片状共晶体
图3-12 共晶体形态
在非平衡结晶时,一定条件下(快速冷却或加入微量第三组元),共晶反应会得到伪共晶组织。例如,在Al—Si系中,共晶成份的铝硅合金在快速冷却条件下,如图3—13所示。由于伪共晶区偏向硅的一侧,共晶成份的过冷液体表象点a不会落在伪共晶区内,只有先结晶出α相而使液相成份右移至b点后才能发生共晶转变。因此共晶成份的合金得到亚共晶组织。其组织组成为初生α相加细小的共晶体,如图3—14所示。

图3-13 Al-Si合金系的伪共晶区 图3-14 Al-11.7%Si合金的快冷组织
三)亚共晶和过共晶合金
成分位于共晶线上共晶点左侧和右侧的合金分别称为亚共晶和过共晶合金,这些合金在冷却时先结晶出初生晶体,当冷到共晶温度时,剩余液相的成分变到共晶点;即发生共晶反应形成共晶体:故其凝固后的组织为初生晶体加共晶体。合金成分距共晶点愈近时,组织中的初生晶体数量就愈少。凝固后继续冷却到室温的过程中,若有固溶度变化,则还将析出二次相。如图3-15为Pb-Sn系中的亚共晶合金,其组织为初生的铅基固溶体(α)加共晶体(α十β),图3一16为Pb一Sb系中的过共晶合金,其组织为初生晶体(Sb)加共晶体(α十Sb)。

冰醋酸硝酸水溶液 ´200 冰醋酸双氧水溶液 ´82
图3-15 Pb-50%Sn合金的显微组织 图3-16 Pb-20%Sb合金的显微组织
初生晶体的形态与其本质和数量有关。纯金属及其固溶体的初晶组织形态一般呈树枝状,在不同截面上可呈完整树枝、部分树枝和卵形排列。对一些金属性较差、晶体结构较复杂的元素(如Sb、Si、Bi)或化合物的初生晶体,数量较少时,常具有规则的外形,在不同截面上可呈现出正方、矩形、菱形、三角形等形状,如果这些相的量较多时,也可具有树枝状的形态,但其枝杆边缘仍是规则的,形成规则的几何外形的原因是由于这类初生晶体的表面张力小,生长速度慢造成的。
在非平衡结晶时,初生晶体数量减少,共晶体的实际成份偏离原共晶点,形成伪共晶体。成份靠近共晶点的合金,快冷时甚至来不及析出初生晶体,即可发生共晶反应,得到全部伪共晶组织,如图3—8 I线所示。若伪共晶区偏向相 图3-17 Pt—Ag合金相图,如Al—Si相图(见图3-13),此时只有过共晶成份合金,才可能得到全部共晶组织。
.png)
图3-17 Pt—Ag合金相图
三、二元包晶系合金的组织
由相图可知,具有包晶成分的合金,在平衡冷却条件下,其初生相应在转变中全部耗尽,成为均匀的单相固溶体。但在实际情况下,由于冷却较快,包晶反应常常不能充分进行。以至于合金的显微组织达不到平衡状态,例如图3—17所示的P点以及P点以右的Pt—Ag合金。
在平衡凝固完成之后,便不存在α相。但如果是不平衡结晶则在β相中心仍保留一些残留的α相,且β相本身的成分也是不均匀的,呈枝晶偏析。又如图3—3所示的Cu—65%Sn的合金冷却到415℃时要发生 L + ε → η 的包晶转变,剩余的液相L到227℃又会发生共晶转变,所以在平衡凝固时最终组织应由η相和共晶体(η+θ)组成。而实际的不平衡组织却保留相当数量的ε相(灰色),包围它的是η相(白色),在外面的则是黑色的共晶组织,如图3—18所示。这种由于包晶转变的不完全性而产生的组织变化与成分偏析的现象,称为包晶偏析。包晶偏析易于在一些包晶温度较低的合金中出现。包晶偏析一般采用扩散退火方法予以改善和消除。
.png)
氯化铁盐酸水溶液 75´
TOP